recherche immobilières sur mobile

Terrain à vendre Loire atlantique (44690) - 101000 €

vente terrain région Loire atlantique

101 000 €


Vente Terrain CHATEAU-THEBAUD 44690
Annonce Vente Terrain  44
Acheter Terrain

Description

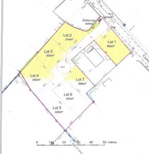
Fiche Id-REP174954 : Chateau thebaud, Terrain viabilis? - - Equipements annexes : - chauffage : Aucun - Plus d'informations disponibles sur demande... - Mentions légales : Proposé à la vente à 101000 Euros (honoraires à la charge du vendeur) - Affaire suivie par Mme Elise TELEGA (Agent immobilier - Responsable) - Reseau Immo-Diffusion Vertou - Pour plus d'informations, contactez notre secrétariat au 09 74 53 13 81 (Appel gratuit ou prix d'une communication locale)
Retour
Autres photos
Plan
Favoris

Contacter l'agence

votre agent immobilier RESEAU IMMO-DIFFUSION (MONTPELLIER 34)
RESEAU IMMO-DIFFUSION
27 Place d'Aguesseau
34 MONTPELLIER
Nous parlons :

Toutes les annonces immobilières de RESEAU IMMO-DIFFUSION
09.74.53.13.81


Recevoir des annonces similaires

Vente à proximité de Chateau-thebaud