recherche immobilières sur mobile

Land for sale in For sale Norville PORT-JEROME-SUR-SEINE 845 m2 Seine maritime (76330)

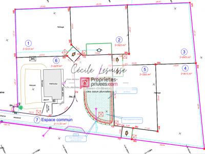
for sale land 845 m² region Seine maritime secteur PORT-JEROME-SUR-SEINE

65 300 €


For sale Norville PORT-JEROME-SUR-SEINE 845 m2 Seine maritime (76330) photo 0
For sale Norville PORT-JEROME-SUR-SEINE 845 m2 Seine maritime (76330) photo 1

Description

Back
More photos
Map
Favorites

Contact

votre agent immobilier Agence PROPRIETES PRIVEES FNAIM (BASSE-GOULAINE 44115)
Agence PROPRIETES PRIVEES FNAIM
15 RUE DE L'ATLANTIQUE
44115 BASSE-GOULAINE
We speak :
06.71.10.75.63 ou 08.05.13.00.17


Receive similar ads

For sale near Norville