recherche immobilières sur mobile

Location Commerce Noisiel 299 m2 Seine et marne (77186) - 28405 € / an

location commerce 299 m² région Seine et marne

28 405 €/an


Location Commerce NOISIEL 77186
Annonce Location Commerce Noisiel 77
Louer Commerce 299 m2 Noisiel
Louer Commerce Noisiel Seine et marne
Louer Commerce Noisiel 28405 euros

Description

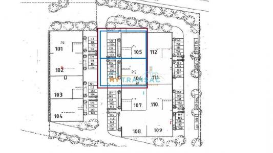
My Transac vous propose à la location 2 cellules d'activités d'une superficie totale de 580 m² divisible, situé sur la commune de Noisiel (77186) Prestations : Au total Lots 105-106 : 580m² : 466m² acti rdc et 114m² de bureaux Lot 105 : 299m² : 259 acti rdc et 40m² de bureaux Lot 106 : 281m² : 207 acti rdc et 74m² de bureaux Hauteur libre sour poutre : 6 m Résistance au sol : 3 T/m² 2 portes sectionnelles de plain-pied Places de parkings : 10 Ossature métallique et bardage double peau Toiture avec éclairage zénithal (skydômes) Bureaux cloisonnés et open-space Chauffage par convecteurs électriques Pré-câblage informatique et téléphonique Accès gros et moyens porteurs Conditions financières : Loyer : 95 E/m²/an HT HC Charges : 17 E/m²/an Taxe foncière : 20,50 E/m²/an Taxe bureaux : 5 E/m²/an Dépôt de garantie : 3 mois de loyer HT/HC Paiement : Trimestriel Bail commercial 3/6/9 ans Accès : Autoroutes : A4, N104 Transports en commun :RER A - Noisiel Bus : Lignes 211, 100, 321
Retour
Autres photos
Plan
Favoris

Contacter l'agence

MY TRANSAC
6, rue D'Armaille
75017 PARIS

Toutes les annonces immobilières de MY TRANSAC
06.52.22.53.27


Recevoir des annonces similaires

Location à proximité de Noisiel