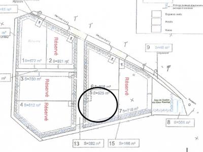
Terrain à vendre Cleres 525 m2 Seine maritime (76690) - 69000 €
vente terrain 525 m² région Seine maritime
69 000 €
Description
Terrain à bâtir sur la commune de CLERES,
Saisissez cette opportunité : Terrain de 525 m2 disponible à partir de 69 000 euros en lotissement, viabilisé tout à l'égout.
Charmante commune normande :
Cadre de Vie & Nature :
Clères est une petite ville située en Seine-Maritime en Normandie, avec une population d'environ 1 380 habitants. C'est une commune agricole et forestière située sur les rives de la Clérette, à environ 27 km au nord-est de Rouen.
Attraction Majeure : Le Parc Zoologique
Le Parc de Clères est un parc animalier centenaire fondé en 1919 par l'ornithologue Jean Delacour.
Accessibilité
Une gare SNCF TER est présente dans la ville, et Clères est située à 17 km au nord-est de Rouen.
Proximité avec Rouen :
Accès rapide pour les services, l'emploi et la culture, tout en profitant du calme de la campagne normande.
Éducation :
3 établissements scolaires : 2 écoles dont une au pied du lotissement et 1 collège,
Concrétisez votre projet dès aujourd'hui avec votre constructeur Normand et venez consulter notre site Cléverte fr, vous y découvrirez nos nombreux modèles de maison.
Je suis Adélaïde, votre conseillère commerciale, et je vous accueille sur rdv à notre agence de Pissy-Poville du Mardi au Samedi de 10h à 13h et de 14h à 18h.
Prix indicatif hors frais annexes (notaire et assurance dommage ouvrage), sous réserve de disponibilité du terrain et de l'étude de projet.
Le prix pouvant évoluer en fonction des règles d'urbanisme, et des différentes études techniques (sol, adaptation terrain ...).
Annonce Pro
Surface525 m2
Référence18995593 - 260307-104640
Publiée le08/03/2026
Modifiée le28/03/2026
Retour
Autres photos
Plan
Favoris
Contacter l'agence
CLE VERTE 575 Avenue Du Marechal Juin Bois Guillaume 76230 Bois Guillaume
X FermerUtilisation des cookies En poursuivant votre navigation vous acceptez l'utilisation des cookies ou technologies similaires pour disposer de services et d'offres adaptés à vos centres d'intérêts Pour plus d'informations, gérer ou modifier les paramètres, cliquez ici