recherche immobilières sur mobile

Terrain à vendre Roquefort-des-corbieres Aude (11540) - 96000 €

vente terrain région Aude

96 000 €


Vente Terrain ROQUEFORT-DES-CORBIERES 11540
Annonce Vente Terrain Roquefort-des-corbieres 11
Acheter Terrain Roquefort-des-corbieres
Acheter Terrain Roquefort-des-corbieres Aude
Acheter Terrain Roquefort-des-corbieres 96000 euros

Description

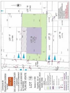
A ROQUEFORT DES CORBIERES Terrain à vendre de 428m2, très bien exposé Situés à l'entrée du magnifique village de Roquefort des Corbières, village de 1000 habitants environ à 5 minutes de l'accès autoroute de Sigean, à 10 Minutes des Plages de Port la nouvelle, entre Narbonne, Leucate et Perpignan, seulement 45 minutes de la frontières espagnole. Lotissement calme, terrain disponible immédiatement D'autre Terrain disponible avec des surfaces différentes, tous sont vendus viabilisés et libre choix de constructeur Plusieurs lots de 342 m2 à 452 m2 sont encore disponible Liste Mise a jour au 28-10-24 Prix du Terrain de 428m2 ci dessus présenté : 96000E Honoraire A charge vendeur N'attendez plus ce terrain ne restera pas longtemps disponible. Consommation énergie primaire : Non communiqué Consommation énergie finale : Non communiqué Pour tous renseignement contacté votre responsable secteur Marie Laure au 06 50 82 62 78. Email:
Retour
Autres photos
Plan
Favoris

Contacter l'agence

RESEAU EV IMMOBILIER
29 Quai Arloing
69009 LYON

Toutes les annonces immobilières de RESEAU EV IMMOBILIER
06.50.82.62.78 ou 06.86.87.52.30


Recevoir des annonces similaires

Vente à proximité de Roquefort-des-corbieres