recherche immobilières sur mobile

Terrain à vendre Chapelle-basse-mer 411 m2 Loire atlantique (44450) - 90990 €

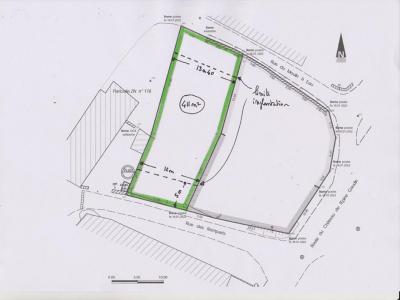
vente terrain 411 m² région Loire atlantique

90 990 €


Vente Terrain CHAPELLE-BASSE-MER 44450
Annonce Vente Terrain Chapelle-basse-mer 44

Description

Katia Bascougnano vous propose de découvrir ce terrain de 411m² situé en hameau, à 5mn du bourg de la Chapelle Basse Mer et 5mn des ponts de Mauves sur Loire. Il est libre de constructeurs et se trouve hors lotissement La viabilisation est à prévoir, les réseaux passent à proximité immédiate, y compris le tout à l'égout et la fibre. Budget : 90 990 euros honoraires inclus (dont 5 900 euros charge acquéreur). Net vendeur : 85 000 euros. Pour visiter et vous accompagner dans votre projet, contactez Katia BASCOUGNANO au 06 32 70 33 06 ou par mail Cette présente annonce a été rédigée sous la responsabilité éditoriale de Katia Bascougnano agissant sous le statut d'agent commercial immatriculée au RSAC Nantes 2018AC00423 auprès de la SAS proprietes-privees.com, réseau national immobilier au capital de 40 000 euros, Zac le Chêne Ferré- 44 allée des Cinq Continents 44120 Vertou, RCS Nantes n° 487 624 777 00040, Carte professionnelle T et G n° CPI 4401 2016 000 010 388 CCI Nantes-Saint Nazaire, Garantie GALIAN - 89 rue de la Boétie, 75008 Paris.- Mandat réf : 429056. Le professionnel vous conseille, garantit et sécurise votre projet immobilier. (7.05 % honoraires TTC à la charge de l'acquéreur.) Katia BASCOUGNANO (EI) Agent Commercial - Numéro RSAC : NANTES 418009429 - .
Retour
Autres photos
Plan
Favoris

Contacter l'agence

votre agent immobilier Agence PROPRIETES PRIVEES FNAIM (BASSE-GOULAINE 44115)
Agence PROPRIETES PRIVEES FNAIM
15 RUE DE L'ATLANTIQUE
44115 BASSE-GOULAINE
Nous parlons :

Toutes les annonces immobilières de Agence PROPRIETES PRIVEES FNAIM
06.32.70.33.06 ou 08.05.13.00.17


Recevoir des annonces similaires

Vente à proximité de Chapelle-basse-mer